Thoái hóa khớp háng và cách điều trị
Thoái hoá khớp háng là bệnh lý do hậu quả của tuổi tác và mài mòn khớp. Thoái hoá khớp háng gây đau và biến đổi cấu trúc của khớp, dần dần dẫn đến tàn phế, ảnh hưởng đến chất lượng cuộc sống, là gánh nặng cho gia đình và xã hội. Thoái hoá khớp háng nếu được chẩn đoán và điều trị sớm có thể làm chậm phát triển của bệnh, giảm triệu chứng đau, giúp bệnh nhân vận động dễ dàng hơn. Sau đây là thông tin về bệnh thoái hóa khớp háng và cách điều trị căn bệnh này.
1. Sơ lược về thoái hóa khớp háng
Thoái hóa khớp háng là một bệnh thoái hóa xương khớp thường gặp ở nhóm người cao tuổi. Tuy nhiên, hiện nay tỷ lệ người mắc bệnh tăng khá cao. Điều này do ảnh hưởng bởi môi trường sống, lối sống thiếu lành mạnh như hút thuốc lá uống rượu… Bệnh xuất hiện ở mọi độ tuổi, không phụ thuộc vào giới tính và có xu thế trẻ hóa.
Thoái hóa khớp háng khiến người bệnh đi lại khó khăn vì khớp này gánh trọng lượng cơ thể nhiều nhất.
2. Triệu chứng thoái hóa khớp háng
Thoái hóa khớp háng khiến người bệnh đi lại khó khăn vì khớp này gánh trọng lượng cơ thể nhiều nhất. Bệnh nhân thường đau vùng bẹn, sau đó lan xuống đùi, đau tăng khi cử động hay đứng lâu và đi khập khiễng. Triệu chứng của thoái hóa khớp háng liên quan đến tình trạng hư sụn khớp và mọc các gai xương.
Cơn đau xuất hiện khi thay đổi tư thế, đi đứng, chạy nhảy, nếu bệnh nhân hạn chế vận động và nghỉ ngơi thì cơn đau cũng giảm theo. Khi bị thoái hóa nặng, các cơn đau khủng khiếp diễn ra thường xuyên hơn và bệnh nhân bị hạn chế cử động khớp háng.
Thay đổi thời tiết có thể gây tăng đau, hạn chế vận động. Giai đoạn đầu người bệnh khó làm một số động tác như ngồi xổm, trèo lên ghế, ngồi kiểu cưỡi ngựa. Giai đoạn sau mức độ tăng dần, đi khập khiễng, phải chống gậy…
3. Nguyên nhân cụ thể gây thoái hóa
Yếu tố đầu tiên đó là việc bị chấn thương khớp háng lâu ngày do làm việc, luyện tập quá sức hoặc tai nạn… Những chấn thương này ảnh hưởng trực tiếp lên khớp háng – vùng được coi là ảnh hưởng nặng nề nhất.
Tuổi tác là một nguyên nhân không thể không kể tới trong những bệnh cơ xương khớp. Tuổi của bạn càng cao xương khớp sẽ bị lão hoá theo và sinh ra các bệnh trong đó có bệnh viêm khớp háng.
Những người béo phì cũng có nguy cơ bị mắc bệnh về xương khớp rất cao. Việc tăng cân sẽ khiến khớp háng bị tăng áp lực do đó sẽ dễ dàng bị viêm khớp háng.
Ngoài ra một số yếu tố gây bệnh ít gặp hơn nhưng cũng không phải là không thể xảy ra như: có gen khiếm khuyết về sụn khớp háng; khớp háng thường xuyên chịu sức ép lớn do công việc hàng ngày như đứng lâu bán hàng hoặc làm việc vác nặng.
4. Thoái hóa khớp nguy hiểm hay không?
Khớp háng được che phủ bằng nhiều lớp mô mềm và dây chằng bên ngoài nên các thương tổn ở khu vực này rất khó nhận diện, thường hay bị nhầm lẫn với chấn thương lưng hoặc xương chậu.
Điều này khiến bệnh nhân dễ dàng lựa chọn nhầm hướng chữa trị, qua đó tạo cơ hội thúc đẩy quá trình thoái hoá ở khớp háng ngày càng nhanh và kéo theo nhiều hậu quả nặng nề như:
– Biến dạng khớp gây tàn phế
Thoái hóa khớp háng có thể gây tàn phế, bại liệt
– Nứt hoặc gãy xương hông
– Teo gân và dây chằng ở vùng quanh khớp háng
– Chất lượng cuộc sống không tốt, dẫn đến sức khỏe tinh thần cũng giảm sút
– Dễ lo âu, trầm cảm
– Thừa cân, béo phì và các bệnh lý khác như cao huyết áp, đái tháo đường…
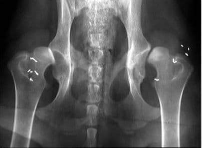
5. Chẩn đoán thoái hóa khớp háng
Trước tiên, các bác sĩ sẽ thăm khám xem bệnh nhân đã có các triệu chứng như thế nào, xảy ra trong bao lâu, từ khi nào và chúng tác động lên đời sống sinh hoạt ra sao. Bệnh sử bản thân và người nhà cũng sẽ được nhắc tới.
Sau khi khám lâm sàng, bác sĩ có thể yêu cầu người bệnh chụp X-quang nhằm tìm kiếm nguyên nhân gây đau nhức, khó chịu. Nếu bệnh nhân bị thoái hóa khớp háng, chụp X-quang sẽ cho ra kết quả:
– Khe khớp hẹp do lớp sụn khớp đã bị bào mòn
– Gai xương phát triển tại nhiều vị trí, bao gồm chỏm xương đùi và xương chậu
– Đặc xương dưới sụn ở vùng chịu áp lực tỳ đè lớn
– Khuyết xương
6. Thoái hóa khớp háng và cách điều trị
Hiện nay, bệnh thoái hóa khớp háng và cách điều trị phụ thuộc vào mức độ nặng hay nhẹ của bệnh. Ở giai đoạn sớm, bệnh nhân có thể dùng các phương pháp điều trị bằng vật lý trị liệu (chườm nóng, chiếu đèn hồng ngoại và tập vật lý trị liệu…).
Người bệnh cần đi khám để được điều trị thoái hóa khớp háng kịp thời.
Khi bệnh nặng hơn, người bệnh có thể dùng các thuốc giảm đau, thuốc chống viêm hay các thuốc chống thấp khớp theo chỉ định của bác sĩ.
Và trong trường hợp cần thiết, khi các phương pháp trên không có tác dụng thì người bị thoái hóa khớp háng sẽ phải phẫu thuật (khi đó, người bệnh sẽ phải đục xương sửa trục xương đùi, khung chậu, ghép xương ổ cối: được chỉ định với những trường hợp thoái hoá khớp háng giai đoạn sớm) hoặc thay toàn bộ khớp háng để khắc phục tình trạng bệnh lý và trở về cuộc sống bình thường.
Thay toàn bộ khớp háng được chỉ định với những trường hợp thoái hoá khớp háng nặng, đau nhiều, thường gặp ở bệnh nhân trên 60 tuổi.
Tới chuyên khoa Cơ xương khớp của Bệnh viện Đa khoa Thu Cúc, bạn sẽ được chính các bác sĩ giàu kinh nghiệm tận tâm thăm khám, cùng với trang bị y tế hiện đại giúp chẩn đoán bệnh nhanh chóng chính xác và có phác đồ điều trị thích hợp giúp bạn hoàn toàn yên tâm với chất lượng khám chữa bệnh tại đây.













